परिवहन मंत्री अनिल विज की अम्बाला छावनी को सौगात : बस स्टैंड व रेलवे स्टेशन के बीच राह होगी आसान, बनेगा आधुनिक अंडरपास
परिवहन मंत्री अनिल विज
हरियाणा के परिवहन मंत्री अनिल विज ने कहा कि अम्बाला छावनी में आमने-सामने स्थित बस स्टैंड व रेलवे स्टेशन के मध्य पैदल आने-जाने की राह अब पहले से सुगम व आसान होगी। जीटी रोड के नीचे आधुनिक अंडरपास का निर्माण किया जाएगा जिससे लाखों यात्रियों व स्थानीय लोगों को सुविधा मिलेगी।
विज ने बताया कि नेशनल हाईवे अथॉरिटी ऑफ इंडिया द्वारा रेलवे स्टेशन व बस स्टैंड के मध्य अंडरपास बनाने के लिए नेशनल हाईवे अथॉरिटी द्वारा योजना तैयार कर ली गई है। चूंकि अंडरपास रेलवे और हरियाणा रोडवेज की सीमा में भी बनना है इसलिए हाईवे अथॉरिटी द्वारा दोनों विभागों से एनओसी ली जा रही है। इसके मिलते ही जल्द अंडरपास निर्माण प्रक्रिया प्रारंभ कर दी जाएगी।
परिवहन मंत्री अनिल विज की मांग पर केंद्रीय मंत्री नितिन गडकरी ने इस प्रोजेक्ट को दी थी हरी झंडी
गौरतलब है कि परिवहन मंत्री अनिल विज ने रेलवे स्टेशन व बस स्टैंड के समक्ष यात्रियों को हो रही असुविधा से केंद्रीय सड़क परिवहन व राजमार्ग मंत्री नितिन गडकरी को अवगत कराते हुए उनसे यहां अंडरपास निर्माण की मांग करी थी। इस मांग पर केंद्रीय मंत्री द्वारा नेशनल हाईवे अथॉरिटी को मामले में योजना तैयार कर अंडरपास निर्माण करने के दिशा-निर्देश दिए गए थे।
सुरक्षित आवागमन : जीटी रोड को पार किए बिना यात्री सीधे रेलवे स्टेशन से बस स्टैंड तक आ-जा सकेंगे – अनिल विज
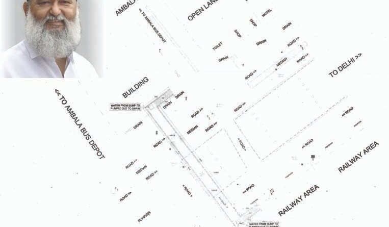
परिवहन मंत्री अनिल विज ने बताया कि अंडरपास का निर्माण होना यात्री सुविधा में एक बड़ा कदम होगा। अम्बाला छावनी रेलवे स्टेशन उत्त्तर भारत का व्यस्तम रेलवे स्टेशन है जहां प्रतिदिन लाखों यात्री ट्रेनों से आवागमन रहता हैं। इसी प्रकार, स्टेशन के ठीक सामने जीटी रोड पर अम्बाला छावनी बस स्टैंड जहां सैकड़ों बसों से हजारों यात्री आते-जाते हैं। रेलवे स्टेशन व बस स्टैंड दोनों महत्वपूर्ण जंक्शन होने की वजह से रेलवे स्टेशन से बस स्टैंड आने जाने वाले यात्रियों की संख्या बहुत ज्यादा रहती है। दोनों के बीच व्यस्तम नेशनल हाईवे रोड है जहां ट्रेफिक का भारी दबाव रहता है। बस स्टैंड व रेलवे स्टेशन आने-जाने के लिए यात्रियों व स्थानीय लोगों को परेशानी होती है और इसी वजह से अंडरपास उनकी इस समस्या को हल करेगा। अंडरपास बनने से लोग नेशनल हाइवे रोड पर जाए बिना अंडरपास से सीधा रेलवे स्टेशन व बस स्टैंड आ-जा सकेंगे।

अंडरपास पर लाइटें व पानी निकासी के लिए पम्प सेट भी लगेंगे
नेशनल हाईवे अथॉरिटी द्वारा तैयार की गई योजना के अनुसार अंडरपास बस स्टैंड के जीटी रोड की तरफ आउट गेट के पास बनेगा जोकि जीटी रोड से नीचे से होता हुआ रेलवे एस्केलेटर के पास तक होगा। इसकी लंबाई लगभग 60 मीटर होगी। अंडरपास में लाइट व अन्य सुविधाएं होगी, साथ ही यहां पर जलभराव की समस्या न उत्पन्न हो, इसके लिए यहां वॉटर डिस्पोजल के लिए पंप भी लगाएं जाएंगे।

